兵庫県神戸市 ドラックストア隣地 新築テナントのご紹介です。

・有馬街道沿いのロードサイド店舗で視認性抜群!

・集客力のあるドラッグストア隣地なので早期認知、安定した集患が見込めます。

・駐車場付きの独立した一棟テナントでフリー設計可能!

・周囲は新興住宅地に囲まれており世帯数の多いエリアです。

建設予定地や諸条件等、お気軽にお問合せください。

 

周辺患者層の特徴と生活動線分析

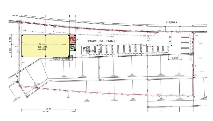
本物件は神戸市北区の有馬街道沿いに位置し、車利用を前提とした生活動線上にあります。隣接するドラッグストアへの来店客流入が見込め、日常的な買い物動線と自然に重なる点が強みです。周囲は新興住宅地が多く、子育て世帯から高齢者まで世帯数が厚く、かかりつけ医需要の高いエリアといえます。

スタッフ確保・採用環境の考察

ロードサイド立地かつ駐車場完備のため、公共交通機関に加え自家用車通勤にも対応でき、通勤範囲を広く設定できます。北区内や隣接エリアからの採用が見込め、特に地元在住の医療事務・看護スタッフの確保に有利です。ドラッグストア隣接という分かりやすい立地は、求職者への説明性も高く、採用広報面でもメリットがあります。

地域包括支援センター・介護拠点との連携性

神戸市北区は高齢化が進む住宅地が多く、在宅医療や慢性疾患管理の需要が安定しています。本物件は住宅集積地に近く、地域包括支援センターや訪問看護・介護事業所との連携が図りやすい立地です。外来診療を軸に、介護・福祉との情報連携を行うことで、地域完結型医療の拠点としての機能強化が期待できます。